Overview Logo
Article Main Image

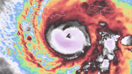
Hurricane Melissa makes landfall in Jamaica as devastating Category 5 storm

9NEWS

Australia

Tuesday, October 28


Alternative Takes

The World's Current Take

Cyclone Montha in India


Hurricane Melissa has made landfall in Jamaica as a catastrophic Category 5 storm, one of the strongest Atlantic hurricanes in history.

The US National Hurricane Centre in Miami warned of devastating flash flooding and numerous landslides from the hurricane with 295km/h winds.

The streets in the capital, Kingston, remained largely empty before Melissa made landfall about midday on Tuesday (4am AEDT), save for the lone stray dog crossing puddles and a handful of people walking briskly under tree branches waving in a stiff wind.

Jamaica braces for strongest storm in almost two decades as Hurricane Melissa approaches
Jamaica braces for strongest storm in almost two decades as Hurricane Melissa approaches (Nine)

Desmond McKenzie, deputy chairman of Jamaica's Disaster Risk Management Council, urged people to seek shelter and stay indoors as the storm crosses the island.

"Jamaica, this is not the time to be brave," he said.

The Jamaican government said it had done all it could to prepare as it warned of devastating damage from the strongest hurricane to hit the island since record-keeping began 174 years ago.

"There is no infrastructure in the region that can withstand a Category 5," Prime Minister Andrew Holness said.

"The question now is the speed of recovery. That's the challenge."

Massive wind damage is expected in Melissa's core and Jamaica's highest mountains could see gusts of up to 322km/h, said US National Hurricane Centre director Michael Brennan.

"It's going to be a very dangerous scenario," he said, warning that there would be"total building failures".

Melissa is the fifth most intense Atlantic basin hurricane on record by pressure, and the strongest such hurricane to make landfall since Hurricane Dorian in 2019, according to hurricane specialist and storm surge expert Michael Lowry.

A man walks in Kingston, Jamaica, as Hurricane Melissa approaches, on Tuesday, October 28, 2025. (AP Photo/Matias Delacroix)

It is"a worst-case scenario unfolding for Jamaica," he said.

Landslides, fallen trees and numerous power outages were reported ahead of the storm, with officials in Jamaica cautioning that the cleanup and damage assessment would be slow.

A life-threatening storm surge of up to four metres is expected across southern Jamaica, with officials concerned about the impact on some hospitals along the coastline.

Health Minister Christopher Tufton said some patients were relocated from the ground floor to the second floor,"and (we) hope that will suffice for any surge that will take place".

The storm already was blamed for seven deaths in the Caribbean, including three in Jamaica, three in Haiti and one in the Dominican Republic, where another person remains missing.

"We will get through it together," said Evan Thompson, principal director at Jamaica's meteorological service.

Waves splash in Kingston, Jamaica, as Hurricane Melissa approaches, on Tuesday, October 28, 2025. (AP Photo/Matias Delacroix)

Jamaica braces for catastrophic damage

Colin Bogle, a Mercy Corps advisor based near Kingston, said most families are sheltering in place despite the government ordering evacuations in flood-prone communities.

"Many have never experienced anything like this before, and the uncertainty is frightening," he said."There is profound fear of losing homes and livelihoods, of injury, and of displacement."

Necephor Mghendi, the international Red Cross' regional head of delegation for the English- and Dutch-speaking Caribbean, said that an estimated 1.5 million people in the storm's path will be affected, but many others may be as well.

A woman video chats with a friend ahead of Hurricane Melissa's forecast arrival in Kingston, Jamaica, Monday, Oct. 27, 2025. (AP Photo/Matias Delacroix)
A woman video chats with a friend ahead of Hurricane Melissa's forecast arrival in Kingston, Jamaica on Monday, October 27. (AP)

More than 240,000 customers were without power before landfall and about one-fourth of the telecommunications system was offline, said Darryl Vaz, transport and energy minister. He said crews will clean and run tests at the island's two main international airports Wednesday in hopes of receiving emergency relief flights as early as Thursday.

UN agencies and dozens of nonprofits had food, medicine and other essential supplies positioned as they awaited a distribution rush after the storm.

Matthew Samuda, Jamaica's water and environment minister, said he had more than 50 generators available to deploy after the storm, but warned people to set aside clean water and use it sparingly.

"Every drop will count," he said.

Cooks prepare meals at a shelter set up in a school ahead of Hurricane Melissa's forecast arrival in Old Harbour, Jamaica, Monday, Oct. 27, 2025. (AP Photo/Matias Delacroix)
Cooks prepare meals at a shelter set up in a school ahead of Hurricane Melissa's forecast arrival in Old Harbour, Jamaica. (AP)

Melissa takes aim at Cuba

Melissa also was expected to make landfall in eastern Cuba late on Tuesday as a powerful hurricane.

A hurricane warning was in effect for Granma, Santiago de Cuba, Guantánamo and Holguin provinces, while a tropical storm warning was in effect for Las Tunas. Up to 51 centimetres of rain were forecast for parts of Cuba, along with a significant storm surge along the coast.

Cuban officials said on Monday that they were evacuating more than 600,000 people from the region, including Santiago, the island's second-largest city.

Melissa also has drenched the southern regions of Haiti and the Dominican Republic, with a tropical storm warning still in effect for Haiti.

People take shelter at a school ahead of Hurricane Melissa's forecast arrival in Old Harbour, Jamaica, Monday, Oct. 27, 2025. (AP Photo/Matias Delacroix)
People take shelter at a school ahead of Hurricane Melissa's forecast arrival in Old Harbour, Jamaica, Monday, Oct. 27, 2025. (AP Photo/Matias Delacroix) (AP Photo)

The hurricane was forecast to turn northeast after Cuba and strike the southeast Bahamas by Wednesday evening.

A hurricane warning was in effect for the southeastern and central Bahamas, and a tropical storm warning was issued for the Turks and Caicos Islands.

Get the full experience in the app

Scroll the Globe, Pick a Country, See their News

International stories that aren't found anywhere else.

Global News, Local Perspective

50 countries, 150 news sites, 500 articles a day.

Don’t Miss what Gets Missed

Explore international stories overlooked by American media.

Unfiltered, Uncensored, Unbiased

Articles are translated to English so you get a unique view into their world.

Apple App Store Badge