

France 24
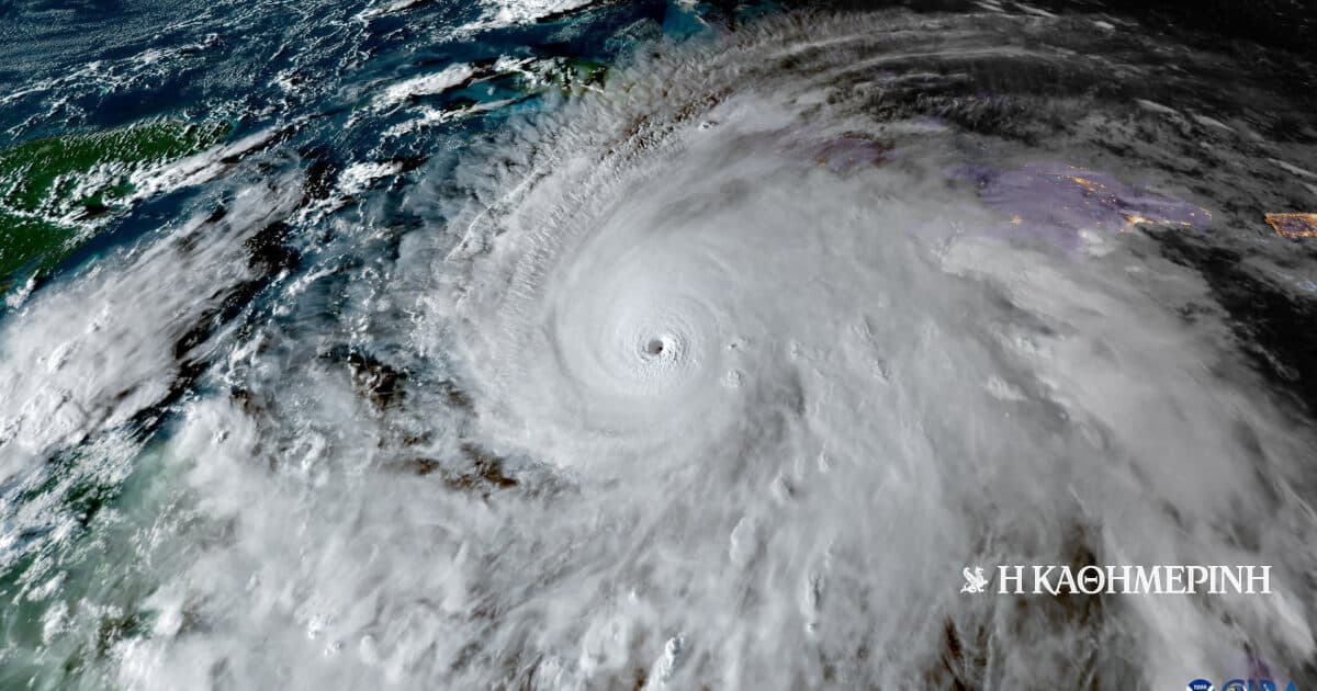
Hurricane Melissa threatens to unleash record destruction on Jamaica
Monday, October 27

Tuesday, October 28
•
Argentina
Tuesday, October 28
•
Greece

Tuesday, October 28
•
Greece

Monday, October 27
•
Australia
Monday, October 27
•
Australia
International stories that aren't found anywhere else.
50 countries, 150 news sites, 500 articles a day.
Explore international stories overlooked by American media.
Articles are translated to English so you get a unique view into their world.